Übersicht über die Vorkaufsrechtssatzungen
Hier erhalte Sie einen Überblick, über die Vorkaufsrechtssatzungen auf dem Gebiet der Stadt Winnenden, übersichtlich nach Stadtteilen gegliedert.
Hier erhalte Sie einen Überblick, über die Vorkaufsrechtssatzungen auf dem Gebiet der Stadt Winnenden, übersichtlich nach Stadtteilen gegliedert.

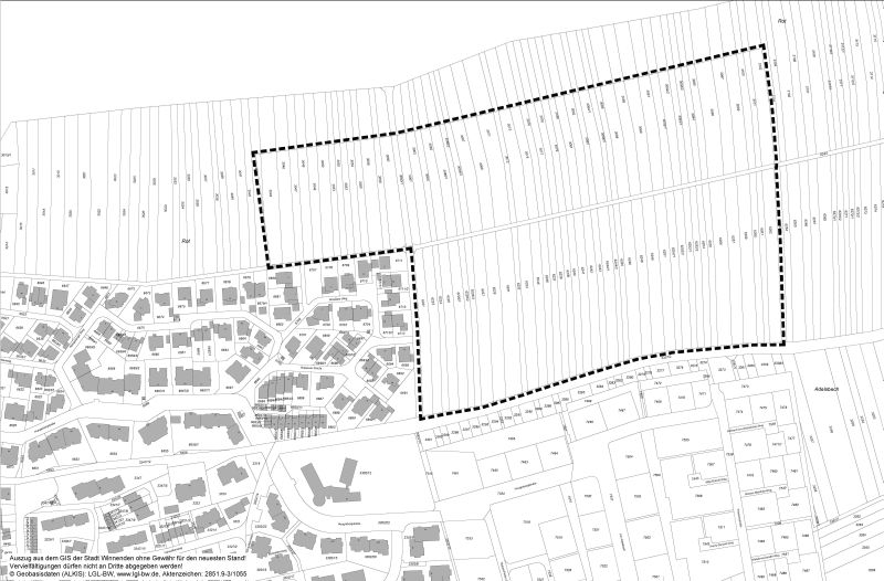
Der Gemeinderat der Stadt Winnenden hat auf Grund von § 25 Abs. 1 Nr. 2 des Baugesetzbuchs in der Fassung der Bekanntmachung vom 3.11.2017 (BGBl. I S. 3634), in Verbindung mit § 4 der Gemeindeordnung für Baden-Württemberg in der Fassung vom 24.07.2000 (GBl. S. 581, ber. S 698), zuletzt geändert durch Artikel 16 des Gesetzes vom 21.05.2019 (GBl. S. 161, 186) in seiner Sitzung am 31.03.2020 eine Satzung über ein besonderes Vorkaufsrecht für den künftigen Bebauungsplan "Adelsbach II" in Winnenden, Planbereich 21.03 und 21.03, beschlossen.
Der Geltungsbereich dieser Vorkaufsrechtssatzung ist im Lageplan des Stadtentwicklungsamts Winnenden vom 17.02.2020, Maßstab 1 : 1.000, mit unterbrochenen schwarzen Strichen umrandet dargestellt und liegt auf Gemarkung Winnenden (siehe Planskizze).
Diese Vorkaufsrechtssatzung kann beim Stadtentwicklungsamt der Stadt Winnenden, 71364 Winnenden, Rathaus, Torstraße 10, Zimmer 303 während den regelmäßigen Dienststunden eingesehen werden. Jedermann kann diese Vorkaufsrechtssatzung einsehen und über den Inhalt Auskunft verlangen.
Diese Vorkaufsrechtssatzung wurde im Blickpunkt vom 09.04.2020 veröffentlich und tritt mit dieser Bekanntmachung in Kraft.
Hinweise:
Eine etwaige Verletzung von Verfahrens- oder Formvorschriften der Gemeindeordnung oder von aufgrund der Gemeindeordnung erlassener Verfahrens- oder Formvorschriften beim Zustandekommen dieser Satzung ist nach § 4 der Gemeindeordnung (GemO) für Baden-Württemberg unbeachtlich, wenn sie nicht schriftlich unter Bezeichnung des Sachverhalts der die Verletzung begründen soll, innerhalb eines Jahres seit Bekanntmachung bei der Stadt Winnenden geltend gemacht worden ist. Wer die Jahresfrist ohne tätig zu werden verstreichen lässt, kann eine etwaige Verletzung gleichwohl auch später geltend machen, wenn die Vorschriften über die Öffentlichkeit der Sitzung, die Genehmigung oder die Bekanntmachung der Satzung verletzt worden sind; oder der Oberbürgermeister dem Beschluss nach § 43 GemO wegen Gesetzeswidrigkeit widersprochen hat; oder vor Ablauf der Jahresfrist die Rechtsaufsichtsbehörde den Beschluss beanstandet oder ein Dritter die Verletzung der Verfahrens- oder Formvorschriften gerügt hat.

Der Gemeinderat der Stadt Winnenden hat auf Grund von § 25 Abs. 1 Nr. 2 des Baugesetzbuchs in der Fassung der Bekanntmachung vom 3.11.2017 (BGBl. I S. 3634), in Verbindung mit § 4 der Gemeindeordnung für Baden-Württemberg in der Fassung vom 24.07.2000 (GBl. S. 581, ber. S 698), zuletzt geändert durch Artikel 16 des Gesetzes vom 21.05.2019 (GBl. S. 161, 186) in seiner Sitzung am 24.09.2019 eine Satzung über ein besonderes Vorkaufsrecht für den künftigen Bebauungsplan "Untere Schray" in Winnenden, Planbereich 19.00, beschlossen.
Der Geltungsbereich dieser Vorkaufsrechtssatzung ist im Lageplan des Stadtentwicklungsamts Winnenden vom 26.08.2019, Maßstab 1 : 1.000, mit unterbrochenen schwarzen Strichen umrandet dargestellt und liegt auf Gemarkung Winnenden (siehe Planskizze).
Diese Vorkaufsrechtssatzung kann beim Stadtentwicklungsamt der Stadt Winnenden, 71364 Winnenden, Rathaus, Torstraße 10, Zimmer 303 während den regelmäßigen Dienststunden eingesehen werden. Jedermann kann diese Vorkaufsrechtssatzung einsehen und über den Inhalt Auskunft verlangen.
Diese Vorkaufsrechtssatzung wurde im Blickpunkt am 02.10.2019 veröffentlicht und ist mit dieser Bekanntmachung in Kraft getreten.
Hinweise:
Eine etwaige Verletzung von Verfahrens- oder Formvorschriften der Gemeindeordnung oder von aufgrund der Gemeindeordnung erlassener Verfahrens- oder Formvorschriften beim Zustandekommen dieser Satzung ist nach § 4 der Gemeindeordnung (GemO) für Baden-Württemberg unbeachtlich, wenn sie nicht schriftlich unter Bezeichnung des Sachverhalts der die Verletzung begründen soll, innerhalb eines Jahres seit Bekanntmachung bei der Stadt Winnenden geltend gemacht worden ist. Wer die Jahresfrist ohne tätig zu werden verstreichen lässt, kann eine etwaige Verletzung gleichwohl auch später geltend machen, wenn die Vorschriften über die Öffentlichkeit der Sitzung, die Genehmigung oder die Bekanntmachung der Satzung verletzt worden sind; oder der Oberbürgermeister dem Beschluss nach § 43 GemO wegen Gesetzeswidrigkeit widersprochen hat; oder vor Ablauf der Jahresfrist die Rechtsaufsichtsbehörde den Beschluss beanstandet oder ein Dritter die Verletzung der Verfahrens- oder Formvorschriften gerügt hat.

Der Gemeinderat der Stadt Winnenden hat auf Grund von § 25 Abs. 1 Nr. 2 des Baugesetzbuchs in der Fassung der Bekanntmachung vom 3.11.2017 (BGBl. I S. 3634), zuletzt geändert durch Artikel 2 des Gesetzes vom 8. August 2020 (BGBl. I S. 1728), in Verbindung mit § 4 der Gemeindeordnung für Baden-Württemberg in der Fassung vom 24.07.2000 (GBl. S. 581, ber. S 698), zuletzt geändert durch Artikel 2 des Gesetzes vom 2. Dezember 2020 (GBl. S. 1095, 1098) in seiner Sitzung am 27.04.2021 eine Satzung über ein besonderes Vorkaufsrecht für den künftigen Bebauungsplan „Brühl“ in Winnenden, Planbereich 17.00, beschlossen.
Der Geltungsbereich dieser Vorkaufsrechtssatzung ist im Lageplan des Stadtentwicklungsamts Winnenden vom 29.03.2021, Maßstab 1 : 1.000, mit unterbrochenen schwarzen Strichen umrandet dargestellt und liegt auf Gemarkung Winnenden (siehe Planskizze).
Diese Vorkaufsrechtssatzung kann beim Stadtentwicklungsamt der Stadt Winnenden, 71364 Winnenden, Rathaus, Torstraße 10, Zimmer 303 während den regelmäßigen Dienststunden eingesehen werden. Jedermann kann diese Vorkaufsrechtssatzung einsehen und über den Inhalt Auskunft verlangen.
Diese Vorkaufsrechtssatzung tritt mit dieser Bekanntmachung in Kraft.
Hinweise:
Eine etwaige Verletzung von Verfahrens- oder Formvorschriften der Gemeindeordnung oder von aufgrund der Gemeindeordnung erlassener Verfahrens- oder Formvorschriften beim Zustandekommen dieser Satzung ist nach § 4 der Gemeindeordnung (GemO) für Baden-Württemberg unbeachtlich, wenn sie nicht schriftlich unter Bezeichnung des Sachverhalts der die Verletzung begründen soll, innerhalb eines Jahres seit Bekanntmachung bei der Stadt Winnenden geltend gemacht worden ist. Wer die Jahresfrist ohne tätig zu werden verstreichen lässt, kann eine etwaige Verletzung gleichwohl auch später geltend machen, wenn die Vorschriften über die Öffentlichkeit der Sitzung, die Genehmigung oder die Bekanntmachung der Satzung verletzt worden sind; oder der Oberbürgermeister dem Beschluss nach § 43 GemO wegen Gesetzeswidrigkeit widersprochen hat; oder vor Ablauf der Jahresfrist die Rechtsaufsichtsbehörde den Beschluss beanstandet oder ein Dritter die Verletzung der Verfahrens- oder Formvorschriften gerügt hat.

Der Gemeinderat der Stadt Winnenden hat auf Grund von § 25 Abs. 1 Nr. 2 des Baugesetzbuchs in der Fassung der Bekanntmachung vom 3. November 2017 (BGBl. I S. 3634), das zuletzt durch Artikel 1 des Gesetzes vom 14. Juni 2021 (BGBl. I S. 1802) geändert worden ist, in Verbindung mit § 4 der Gemeindeordnung für Baden-Württemberg in der Fassung vom 24.07.2000 (GBl. S. 581, ber. S. 698), zuletzt geändert durch Artikel 2 des Gesetzes vom 2. Dezember 2020 (GBl. S. 1095, 1098) in seiner Sitzung am 29.06.2021 eine Satzung über ein besonderes Vorkaufsrecht für den künftigen Bebauungsplan „Linsenhalde II“ in Winnenden, Planbereich: 34.00, beschlossen.
Der Geltungsbereich dieser Vorkaufsrechtssatzung ist im Lageplan des Stadtentwicklungsamts Winnenden vom 26.05.2021, Maßstab 1 : 1.000, mit unterbrochenen schwarzen Strichen umrandet dargestellt und liegt auf Gemarkung Winnenden (siehe Planskizze).
Diese Vorkaufsrechtssatzung kann beim Stadtentwicklungsamt der Stadt Winnenden, 71364 Winnenden, Rathaus, Torstraße 10, Zimmer 304 während den regelmäßigen Dienststunden eingesehen werden. Jedermann kann diese Vorkaufsrechtssatzung einsehen und über den Inhalt Auskunft verlangen.
Diese Vorkaufsrechtssatzung tritt mit dieser Bekanntmachung in Kraft.
Hinweise:
Eine etwaige Verletzung von Verfahrens- oder Formvorschriften der Gemeindeordnung oder von aufgrund der Gemeindeordnung erlassener Verfahrens- oder Formvorschriften beim Zustandekommen dieser Satzung ist nach § 4 der Gemeindeordnung (GemO) für Baden-Württemberg unbeachtlich, wenn sie nicht schriftlich unter Bezeichnung des Sachverhalts der die Verletzung begründen soll, innerhalb eines Jahres seit Bekanntmachung bei der Stadt Winnenden geltend gemacht worden ist. Wer die Jahresfrist ohne tätig zu werden verstreichen lässt, kann eine etwaige Verletzung gleichwohl auch später geltend machen, wenn die Vorschriften über die Öffentlichkeit der Sitzung, die Genehmigung oder die Bekanntmachung der Satzung verletzt worden sind; oder der Oberbürgermeister dem Beschluss nach § 43 GemO wegen Gesetzeswidrigkeit widersprochen hat; oder vor Ablauf der Jahresfrist die Rechtsaufsichtsbehörde den Beschluss beanstandet oder ein Dritter die Verletzung der Verfahrens- oder Formvorschriften gerügt hat.

Der Gemeinderat der Stadt Winnenden hat auf Grund von § 25 Abs. 1 Nr. 2 des Baugesetzbuchs in der Fassung der Bekanntmachung vom 3.11.2017 (BGBl. I S. 3634), zuletzt geändert durch Artikel 2 des Gesetzes vom 8. August 2020 (BGBl. I S. 1728), in Verbindung mit § 4 der Gemeindeordnung für Baden-Württemberg in der Fassung vom 24.07.2000 (GBl. S. 581, ber. S 698), zuletzt geändert durch Artikel 2 des Gesetzes vom 2. Dezember 2020 (GBl. S. 1095, 1098) in seiner Sitzung am 27.04.2021 eine Satzung über ein besonderes Vorkaufsrecht für den künftigen Bebauungsplan „Kirchhofäcker“ in Winnenden-Hertmannsweiler, Planbereich 39.12 und 39.19, beschlossen.
Der Geltungsbereich dieser Vorkaufsrechtssatzung ist im Lageplan des Stadtentwicklungsamts Winnenden vom 29.03.2021, Maßstab 1 : 1.000, mit unterbrochenen schwarzen Strichen umrandet dargestellt und liegt auf Gemarkung Hertmannsweiler (siehe Planskizze).
Diese Vorkaufsrechtssatzung kann beim Stadtentwicklungsamt der Stadt Winnenden, 71364 Winnenden, Rathaus, Torstraße 10, Zimmer 303 während den regelmäßigen Dienststunden eingesehen werden. Jedermann kann diese Vorkaufsrechtssatzung einsehen und über den Inhalt Auskunft verlangen.
Diese Vorkaufsrechtssatzung tritt mit dieser Bekanntmachung in Kraft.
Hinweise:
Eine etwaige Verletzung von Verfahrens- oder Formvorschriften der Gemeindeordnung oder von aufgrund der Gemeindeordnung erlassener Verfahrens- oder Formvorschriften beim Zustandekommen dieser Satzung ist nach § 4 der Gemeindeordnung (GemO) für Baden-Württemberg unbeachtlich, wenn sie nicht schriftlich unter Bezeichnung des Sachverhalts der die Verletzung begründen soll, innerhalb eines Jahres seit Bekanntmachung bei der Stadt Winnenden geltend gemacht worden ist. Wer die Jahresfrist ohne tätig zu werden verstreichen lässt, kann eine etwaige Verletzung gleichwohl auch später geltend machen, wenn die Vorschriften über die Öffentlichkeit der Sitzung, die Genehmigung oder die Bekanntmachung der Satzung verletzt worden sind; oder der Oberbürgermeister dem Beschluss nach § 43 GemO wegen Gesetzeswidrigkeit widersprochen hat; oder vor Ablauf der Jahresfrist die Rechtsaufsichtsbehörde den Beschluss beanstandet oder ein Dritter die Verletzung der Verfahrens- oder Formvorschriften gerügt hat.
Die jeweilige Vorkaufsrechtssatzung kann beim Stadtentwicklungsamt der Stadt Winnenden, 71364 Winnenden, Rathaus, Torstraße 10, Zimmer 303 während den regelmäßigen Dienststunden eingesehen werden. Jedermann kann die erlassenen Vorkaufsrechtssatzungen einsehen und über den Inhalt Auskunft verlangen.