Beschluss über die Aufstellung des Bebauungsplans "Nordwestlicher Ortsrand an der Haselsteinstraße" in Winnenden-Breuningsweiler und einer Satzung über örtliche Bauvorschriften gemäß § 74 der Landesbauordnung (LBO) zu diesem Bebauungsplan sowie öffentliche Auslegung des Bebauungsplanentwurfs und des Entwurfs der örtlichen Bauvorschriften
Planbereich: 40.03
Hier gelangen Sie zur signierten PDF-Datei. (691,1 KB)
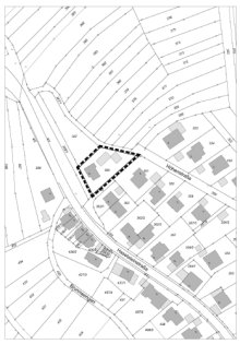
Aufstellungsbeschluss und Entwurfsfeststellung Der Gemeinderat der Stadt Winnenden hat am 08.04.2025 die Aufstellung des Bebauungsplans "Nordwestlicher Ortsrand an der Haselsteinstraße" in Winnenden-Breuningsweiler, Planbereich 40.03 und einer Satzung über örtliche Bauvorschriften zu diesem Bebauungsplan beschlossen sowie den Entwurf dieses Bebauungsplans und den Entwurf der örtlichen Bauvorschriften festgestellt. Das Plangebiet liegt auf Gemarkung Breuningsweiler. Der Geltungsbereich des Bebauungsplans und der Satzung über die örtlichen Bauvorschriften liegt am nordwestlichen Siedlungsrand des Stadteils Breuningsweiler oberhalb der Haselsteinstraße. Abgegrenzt ist der Geltungsbereich im Norden und Nordosten durch den landwirtschaftlichen Weg im Gewann Kelteräcker und die Höhenstraße, im Osten durch die Verlängerung der Haselsteinstraße, im Süden und Südwesten durch das städtische Grundstück (Grünlandfläche), Flst. Nr. 2802/23 und im Nordwesten durch das Grundstück (Grünlandfläche), Flst. Nr. 367.Näheres ist dem beigefügten Abgrenzungsplan des Stadtentwicklungsamts vom 17.03.2025 zu entnehmen.

Abgrenzungsplan zur Satzung des Bebauungsplans "Nordwestlicher Ortsrand an der Haselsteinstraße" in Winnenden-Breuningsweiler Die Bauherrin eines am nordwestlichen Siedlungsrand des Stadtteils Breuningsweiler liegenden Baugrundstücks hat sich wegen der Bebaubarkeit ihres Grundstücks an die die Stadtverwaltung Winnenden gewandt. Konkret geht es um die Bebauung des Grundstücks Haselsteinstraße 56, Flst. Nr. 366, in Winnenden-Breuningsweiler. Der rechtsgültige Bebauungsplan "Baulinienfeststellung Winnender Straße" in Winnenden-Breuningsweiler, in Kraft getreten durch öffentliche Bekanntmachung vom 17.10.1958 und der rechtsgültige Bebauungsplan "Kelteräcker" in Winnenden-Breuningsweiler, in Kraft getreten durch öffentliche Bekanntmachung vom 20.05.1963 sind für die Beurteilung von Vorhaben maßgebend. Bauvorhaben sind auf der Grundlage dieser beiden einfachen Baulinienpläne und § 34 Abs. 1 BauGB zu beurteilen. Die bereits genehmigten Bauvorhaben und zukünftige Bauvorhaben sind aktuell nach § 34 des Baugesetzbuchs (BauGB) zu beurteilen. Ein Vorhaben ist zulässig, wenn es sich nach Art und Maß der baulichen Nutzung, der Bauweise und der Grundstücksfläche, die überbaut werden soll, in die Eigenart der näheren Umgebung einfügt und die Erschließung gesichert ist. Nach diesen Maßgaben hatte der Gemeindeverwaltungsverband Winnenden, untere Baurechtsbehörde für Leutenbach, Schwaikheim und Winnenden, in der Vergangenheit die Zulässigkeit von Bauvorhaben beurteilt und einzelne Baugenehmigungen erteilt. Aktuell ist ein mögliches Baugrundstück noch unbebaut und ein weiteres Baugrundstück könnte nach dem Abbruch eines Schuppens bebaut werden. Um solche und andere Bauvorhaben zukünftig mit qualifizierten Vorgaben baurechtlich zu beurteilen, soll ein Bebauungsplan aufgestellt werden, der unter anderem auch die bestehenden faktischen Geh-, Fahr- und Leitungsrechte planungsrechtlich sichert. Mit der planungsrechtlichen Festsetzung von Geh-, Fahr- und Leitungsrechten dürfen keine Maßnahmen durchgeführt werden, die die uneingeschränkte Ausübung des Geh-, Fahr- und Leitungsrechts und den Bestand oder Betrieb der Leitungen beeinträchtigen oder gefährden. Durch die Festsetzung von Geh-, Fahr- und Leitungsrechten werden die Rechte selbst nicht festgesetzt oder begründet. Dies geschieht in der Regel durch die Begründung von Dienstbarkeiten. Der Anlass für die Einleitung des Bebauungsplanverfahrens "Nordwestlicher Ortsrand an der Haselsteinstraße" in Winnenden-Breuningsweiler ist die geplante Bebauung des Grundstücks Haselsteinstraße 56, Flst. Nr. 366, in Winnenden-Breuningsweiler. Durch die Aufstellung des Bebauungsplans "Nordwestlicher Ortsrand an der Haselsteinstraße" in Winnenden-Breuningsweiler werden die planungsrechtlichen Voraussetzungen geschaffen, um ein unbebautes Baugrundstück am Übergang zur freien Landschaft städtebaulich geordnet zu entwickeln. Das Bebauungsplanverfahren "Nordwestlicher Ortsrand an der Haselsteinstraße" in Winnenden-Breuningsweiler wird im beschleunigten Verfahren nach § 13a BauGB durchgeführt, da es sich bei diesem Bebauungsplan um einen Bebauungsplan der Innenentwicklung handelt. Im beschleunigten Verfahren gelten die Vorschriften des vereinfachten Verfahrens nach § 13 Abs. 2 und 3 Satz 1 BauGB entsprechend. Im vereinfachten Verfahren kann von der frühzeitigen Beteiligung der Öffentlichkeit und der frühzeitigen Behördenbeteiligung abgesehen werden und eine Umweltprüfung einschließlich der Ausarbeitung eines Umweltberichts ist nicht erforderlich. Im gemeinsamen Flächennutzungsplan 2000 - 2015 (FNP) des Gemeindeverwaltungsverbands Winnenden und der Gemeinde Berglen ist das Plangebiet als Wohnbaufläche (Bestand) dargestellt. Der Bebauungsplan ist aus dem Flächennutzungsplan entwickelt. Maßgebend sind der zeichnerische Teil, Maßstab im Original 1 : 500 vom 17.03.2025 und der Textteil mit den planungsrechtlichen Festsetzungen und den örtlichen Bauvorschriften vom 17.03.2025 des Stadtentwicklungsamts Winnenden. Der Entwurf des Bebauungsplans und der Satzung über die örtlichen Bauvorschriften ist mit der Begründung
vom 22.04.2025 bis 22.05.2025 unter der Internetadresse http://www.winnenden.de/bplan abzurufen. Ergänzend können die Planungsunterlagen auch beim Stadtentwicklungsamt der Stadt Winnenden, 71364 Winnenden, Rathaus, Torstraße 10, auf einem digitalen Informations-Terminal im Flur vor dem Zimmer 322, während den folgenden Dienststunden: Montag bis Freitag: 09:00 - 12:00 Uhr; Montag und Dienstag 14:00 - 16:00 Uhr und Donnerstag 15:00 - 18:00 Uhr eingesehen werden. Während der Auslegungsfrist können Stellungnahmen abgegeben werden. Stellungnahmen sollen elektronisch übermittelt werden, können bei Bedarf aber auch auf anderem Weg abgegeben werden. Nicht fristgerecht abgegebene Stellungnahmen können bei der Beschlussfassung über den Bebauungsplan unberücksichtigt bleiben. Der Bebauungsplan und die Satzung über örtliche Bauvorschriften sollen im beschleunigten Verfahren nach § 13a des Baugesetzbuchs (BauGB) ohne Durchführung einer Umweltprüfung nach § 2 Abs. 4 BauGB aufgestellt werden. Für den Bebauungsplan und für die Satzung über die örtlichen Bauvorschriften werden der Aufstellungsbeschluss gem. § 2 Abs. 1 BauGB und der Entwurfsfeststellungsbeschluss gem. § 3 Abs. 2 BauGB öffentlich bekannt gemacht. Winnenden, den 09.04.2025 Hartmut HolzwarthOberbürgermeister