Erneute öffentliche Auslegung des Bebauungsplanentwurfs "Halden" – 1. Änderung in Winnenden-Birkmannsweiler und einer Satzung über örtliche Bauvorschriften gemäß § 74 der Landesbauordnung (LBO) zu diesem Bebauungsplan
Planbereich: 41.17
Hier gelangen Sie zur signierten PDF-Datei. (661,3 KB)
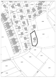
Erneute Entwurfsfeststellung In der Zeit vom 07.10.2024 bis 07.11.2024 ist eine öffentliche Auslegung der Entwürfe des Bebauungsplans und der Satzung über die örtlichen Bauvorschriften erfolgt. Die erneute Beteiligung zum Entwurf des Bebauungsplans mit örtlichen Bauvorschriften erfolgt auf Grund der ergänzenden Festsetzungen von Vermeidungsmaßnahmen entsprechend der artenschutzrechtlichen Relevanzprüfung vom Büro roosplan aus Backnang vom 09.01.2025 als Maßnahmen zum Schutz, zur Pflege und zur Entwicklung von Boden, Natur und Landschaft (§ 9 Abs. 1 Nr. 20 BauGB). Das Plangebiet liegt auf Gemarkung Birkmannsweiler. Der Geltungsbereich des Bebauungsplans und der Satzung über die örtlichen Bauvorschriften liegt am südöstlichen Siedlungsrand des Stadtteils Birkmannsweiler östlich der Mozartstraße.Näheres ist dem beigefügten Abgrenzungsplan des Stadtentwicklungsamts vom 26.08.2024 zu entnehmen.

Der Anlass für die Einleitung des Bebauungsplanverfahrens "Halde – 1. Änderung" in Winnenden-Birkmannsweiler ist die geplante Errichtung eines weiteren Wohngebäudes auf dem Grundstück Mozartstraße 2, Flst. Nr. 3264/1. Für die städtebauliche Entwicklung ist es erforderlich einen Bebauungsplan aufzustellen. Ein entsprechendes Planerfordernis ist vorhanden. Der räumliche Geltungsbereich für den Bebauungsplan beschränkt sich auf das maßgebliche Baugrundstück. Durch die Aufstellung des Bebauungsplans "Halden – 1. Änderung" in Winnenden-Birkmannsweiler werden die planungsrechtlichen Voraussetzungen geschaffen, um innerhalb der großen unbebauten Gartenfläche an der Mozartstraße die Errichtung eines weiteren Wohngebäudes an der Mozartstraße zu ermöglichen. Maßgebend sind der zeichnerische Teil, Maßstab im Original 1 : 500 vom 26.08.2024 und der Textteil mit den planungsrechtlichen Festsetzungen und den örtlichen Bauvorschriften vom 26.08.2024 / 20.02.2025 des Büros roosplan aus Backnang. Die Entwürfe des Bebauungsplans und der Satzung über die örtlichen Bauvorschriften sind mit der Begründung
vom 10.04.2025 bis 24.04.2025 unter der Internetadresse http://www.winnenden.de/bplan abzurufen. Ergänzend können die Planungsunterlagen auch beim Stadtentwicklungsamt der Stadt Winnenden, 71364 Winnenden, Rathaus, Torstraße 10, auf einem digitalen Informations-Terminal im Flur vor dem Zimmer 322, während den folgenden Dienststunden: Montag bis Freitag: 09:00 - 12:00 Uhr; Montag und Dienstag 14:00 - 16:00 Uhr und Donnerstag 15:00 - 18:00 Uhr eingesehen werden. Nachdem bereits in der Zeit vom 07.10.2024 bis 07.11.2024 eine öffentliche Auslegung der Entwürfe des Bebauungsplans und der Satzung über die örtlichen Bauvorschriften erfolgt ist, ist für die erneute öffentliche Auslegung des Planentwurfs gem. § 4 a Abs. 3 Satz 2 und 3 des Baugesetzbuchs (BauGB) bestimmt, dass Stellungnahmen während der Auslegungsfrist nur zu den geänderten oder ergänzten Teilen des Planentwurfs abgegeben werden können und die Dauer der Auslegung ist auf drei Wochen verkürzt. Der erneute Entwurfsfeststellungsbeschluss gem. § 3 Abs. 2 BauGB wird hiermit öffentlich bekannt gemacht. Winnenden, den 25.02.2025Hartmut HolzwarthOberbürgermeister